収納豊富なキッチンパントリーがある家
現在の検索条件
- こだわり条件
- すべて 323
- 新築分譲住宅 323
- 土地 0
該当物件が323件見つかりました。
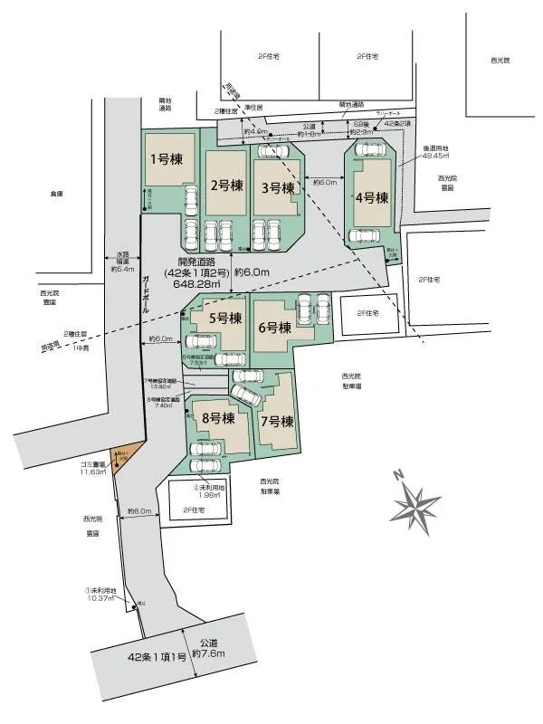
ブルーミングガーデン 草加市新善町8棟
分譲住宅- 8区画販売中/全8区画
- 完成前
- 販売価格
- 3,890万円 ~ 4,990万円 (税込)
- 所在地
- 埼玉県草加市新善町字甚蔵159番1(地番)
- アクセス
- 東武伊勢崎・大師線 新田駅まで徒歩20~21分
東武伊勢崎・大師線 獨協大学前駅まで徒歩24~25分
- 土地面積
- 121.06~131.80㎡
- 建物面積
- 98.12~114.06㎡
- 間取り
- 3LDK~4LDK
- カースペース
- 2 ~ 3台
次回更新予定日:2026年1月30日
取引有効期限:2026年1月19日
- 24時間換気
- カースペース2台以上
- フローリング
- テレビモニタ付インターホン
- 折上天井
- 勾配天井
- 間取変更可
- 外水栓
- 主寝室8帖以上
- 耐震等級3
- LED照明(玄関・廊下・キッチン・トイレ・洗面所)
- フラット35
- 幼稚園10分以内
- ポップアップ天井
- 保育園10分以内
- 火災報知器
- Wロック電池錠
- 室内物干
- 制震ダンパー
- アクセントクロス(一部)
- 生活施設10分以内
- 公園10分以内
- 開発道路6m以上
- BELS取得
- 太陽光パネル
- 人造大理石システムキッチン(天板)
- 対面式キッチン
- 食器洗浄乾燥機
- 床下収納
- シャワー蛇口
- 浄水器蛇口
- システムバス
- ユニットバス
- 浴室換気乾燥機
- 給湯器
- エコキュート
- ハンドシャワー付き洗面化粧台
- 温水洗浄便座1階
- 温水洗浄便座2階
- ベタ基礎
- 低ホルムアルデヒド
- 在来工法
- 断熱仕様玄関ドア
- 全室LOW-Eペアガラス
- 樹脂アングル
- 手すり付階段
- エコジョーズ
- カウンターキッチン
- 節水型トイレ
- 全室フローリング
Good!
【省エネ】太陽光パネル設置物件! 住宅性能評価W取得と税制待遇の長期優良住宅・BELS認定! 平日・休日、時間帯問わずご案内可能です! まずはお気軽にお問い合わせください! 東武スカイツリーライン「新田」駅徒歩20~21分! 清門小学校徒歩18~19分、新栄中学校徒歩23~24分! ◎物件のポイント 敷地は、36坪~!駐車スペースは『2~3台』!
教育施設、スーパー、コンビニ、クリニックなど徒歩7分以内 ◆収納も沢山あります! ・季節ものの収納に便利な『ウォークインクローゼット』(号棟による) ・勉強や仕事用に便利な空間『テレワークルーム』(号棟による) ◆こだわりの内装! ・LDKは空間演出した折り上げ天井 ・開放感のある『アイランド風オープンキッチン』 ・2階の主寝室は、仕切れる『主寝室可変型』タイプです ◆便利な設備! ・掃除に便利な『バルコニー水栓』 ・雨の日でも洗濯物が干せる『室内物干』 ・梅雨時や花粉の時期のお洗濯も安心『浴室乾燥暖房機』 スマートフォンで見やすい特設サイトはこちら https://www.e-blooming.com/bukken/20074012/
- 7区画販売中/全9区画
- バーチャル内覧可
- 完成前
- 販売価格
- 4,880万円 ~ 5,780万円 (税込)
- 所在地
- 神奈川県横浜市瀬谷区橋戸3丁目55番4(地番)
- アクセス
- 相模鉄道本線 瀬谷駅まで徒歩17分
小田急電鉄江ノ島線,相模鉄道本線 大和駅まで徒歩24分
- 土地面積
- 132.89~137.24㎡
- 建物面積
- 95.02~99.99㎡
- 間取り
- 3LDK~4LDK
- カースペース
- 2台
次回更新予定日:2026年1月31日
取引有効期限:2026年1月19日
- 24時間換気
- カースペース2台以上
- 土地40坪以上
- 全居室クロゼット付
- フローリング
- テレビモニタ付インターホン
- ワイドバルコニー
- 折上天井
- 吹抜
- 勾配天井
- 低層地域
- 外水栓
- 耐震等級3
- LED照明(玄関・廊下・キッチン・トイレ・洗面所)
- 幼稚園10分以内
- 保育園10分以内
- 火災報知器
- Wロック電池錠
- 制震ダンパー
- 生活施設10分以内
- BELS取得
- 人造大理石システムキッチン(天板)
- 対面式キッチン
- 食器洗浄乾燥機
- 床下収納
- シャワー蛇口
- 浄水器蛇口
- ユニットバス
- 浴室換気乾燥機
- 給湯器
- ハンドシャワー付き洗面化粧台
- 温水洗浄便座1階
- 温水洗浄便座2階
- ベタ基礎
- 低ホルムアルデヒド
- 在来工法
- 断熱仕様玄関ドア
- 全室LOW-Eペアガラス
- 樹脂アングル
- 手すり付階段
- エコジョーズ
- カウンターキッチン
- 可動棚
- 節水型トイレ
- 南面バルコニー
Good!
★新着ニュース★ ☆完成物件ご案内可能♪ お気軽にお問い合わせください! 〇●現地見学会受付中!●〇 【当社売主】 ☆初期費用抑えられます♪ ◇相鉄線本線「瀬谷」駅徒歩17分♪ ◇カースペース2台駐車可能です!(車種による) ◇教育施設が徒歩圏内です♪ ★☆当社自慢の魅力溢れる間取り&設備!暮らしやすく長く愛される安心住まい☆★ ◇使い勝手の良い多彩な間取り◇ ・開放感を演出するスタイリッシュな【勾配天井・吹き抜け】 ・ LDKにちょっとしたおしゃれ感を【折上天井】 ◇実際に生活した時に便利◇ ・ちょっとした収納に【収納スペース・各居室クローゼット完備】 ・リビングや廊下に収納を多数配置!時間短縮ができ主婦に嬉しい【食器洗い乾燥機】 ・忙しい朝でも広々使えます!【オープンサニタリー】 ≪ ブルーミングガーデンのこだわり ≫ ← 各タイトルをクリック!! ■住宅性能評価ダブル取得! ・『設計』住宅性能評価‥‥建物設計段階で、国が認めた第三機関が評価しております。 ・『建設』住宅性能評価‥‥評価を受けた図面通りに施工されているか、建設までに計4回チェックが行われます。 ・図面や書類上だけでなく、「現場の施工状況」を検査した上で、品質を保証しております。 ■全棟自社一貫体制! ・誰が何をやったかが明確だからこそ、お客様の安心に繋がります。 ・設計、施工、営業が協力しあい、最良のプランをご提供いたします。 ・不要な中間マージンを抑える事で、コストダウンに努めております。
- 5区画販売中/全5区画
- 完成前
- 販売価格
- 5,930万円 ~ 6,080万円 (税込)
- 所在地
- 東京都東久留米市小山5丁目1230番1(地番)
- アクセス
- 西武池袋・豊島線 清瀬駅まで徒歩12分
- 土地面積
- 123.45~123.64㎡
- 建物面積
- 95.22~95.64㎡
- 間取り
- 3LDK~4LDK
- カースペース
- 2台
次回更新予定日:2026年1月20日
取引有効期限:2026年1月19日
- 24時間換気
- カースペース2台以上
- 南道路
- 全居室クロゼット付
- 並列駐車
- フローリング
- テレビモニタ付インターホン
- LDK18帖以上
- 折上天井
- 外水栓
- 耐震等級3
- LED照明(玄関・廊下・キッチン・トイレ・洗面所)
- 小学校10分以内
- 中学校10分以内
- 幼稚園10分以内
- ポップアップ天井
- 保育園10分以内
- 火災報知器
- Wロック電池錠
- 制震ダンパー
- 生活施設10分以内
- 公共施設10分以内
- 太陽光パネル
- 人造大理石システムキッチン(天板)
- 対面式キッチン
- 食器洗浄乾燥機
- 床下収納
- シャワー蛇口
- 浄水器蛇口
- システムバス
- ユニットバス
- 浴室換気乾燥機
- 給湯器
- ハンドシャワー付き洗面化粧台
- 温水洗浄便座1階
- 温水洗浄便座2階
- ベタ基礎
- 低ホルムアルデヒド
- 在来工法
- 断熱仕様玄関ドア
- 全室LOW-Eペアガラス
- 樹脂アングル
- 手すり付階段
- エコジョーズ
- カウンターキッチン
- 可動棚
- 節水型トイレ
- 南面バルコニー
Good!
◇この物件の魅力◇ ・環境にも家計にも優しい太陽光パネルを搭載した、全5棟の新築戸建! ・幅員約5.0mの南側前面道路に面し、陽当り良好な住まいを実現。 ・19帖超の広々としたLDK!異なる間取りから、お好みの一棟をセレクト可能。 ・大容量の納戸や小屋裏収納、ロフトなど、収納豊富◎ ・耐震等級3を取得&制震ダンパーを採用した地震に強い住まい。 ・こだわりの構造、設備仕様が魅力の長期優良住宅です。 ◇アクセス◇ ・西武池袋線「清瀬」駅まで徒歩12分(自転車5分) ◇ロケーション◇ ・東久留米市立小山小学校 徒歩1分 ・東久留米市立久留米中学校 徒歩7分 ・業務スーパー東久留米店 徒歩9分 ・東久留米ショッピングセンタークルネ 徒歩15分 ◇ブルーミングガーデンのこだわり◇ 【全棟自社一貫体制】 ・誰が、何をしたか。が明確だからこそ、お客様の安心に繋がります。 ・設計、施工、営業が互いに協力しあい、最良のプランを提供いたします。 ・不要な中間マージンを抑えることで、コストダウンに努めています。 【耐震等級3取得】 ・東栄住宅の建物は、国が定めた耐震等級で最高の3を取得。建築基準法で定められた、「数百年に一度発生する地震に対して、倒壊、崩壊しない。」という基準から、さらに1.5倍の耐震力を達成しています。 【住宅性能評価ダブル取得】 ・設計住宅性能評価:建物設計段階で、国が認めた第三者機関が評価しています。 ・建設住宅性能評価:評価を受けた図面通りに施工されているか、建設までに、計4回のチェックが行われます。 図面や書類上だけでなく、現場の施工状況を検査した上で、品質を保証しています。 【長期優良住宅】 ・東栄住宅は、全7つの技術基準のうち、4つの最高等級を取得。長期優良住宅とは、「良い家を作って、きちんと手入れをして、長く大切に使う」ことを目的とした認定制度。住宅ローン減税、固定資産税などの税制優遇を受けられるだけでなく、中古市場でも、長期優良住宅が有利に働きます。 【充実のアフターサポート】 ・東栄住宅では、お引渡し後最大10回の無料定期点検と、60年間の品質保証を実施。お引渡しからが本当のお付き合いだと考え、アフターサービスを外部の業者に委託せず、東栄住宅グループ「東栄ホームサービス株式会社」にて責任をもって対応いたします。
- 3区画販売中/全4区画
- 長期優良住宅
- バーチャル内覧可
- 完成前
- 販売価格
- 3,190万円 ~ 3,480万円 (税込)
- 所在地
- 群馬県前橋市総社町植野字東新井63番他(地番)
- アクセス
- 上越線 群馬総社駅まで徒歩16分
- 土地面積
- 205.00~250.98㎡
- 建物面積
- 93.16~108.67㎡
- 間取り
- 4LDK
- カースペース
- 2 ~ 3台
次回更新予定日:2026年2月2日
取引有効期限:2026年1月19日
- 24時間換気
- 土地50坪以上
- 並列駐車
- フローリング
- テレビモニタ付インターホン
- 4LDK
- 低層地域
- 外水栓
- 耐震等級3
- LED照明(玄関・廊下・キッチン・トイレ・洗面所)
- 小学校10分以内
- 幼稚園10分以内
- ポップアップ天井
- 火災報知器
- Wロック電池錠
- 造作ニッチ
- 室内物干
- 制震ダンパー
- アクセントクロス(一部)
- 生活施設10分以内
- 公共施設10分以内
- 公園10分以内
- 接道6m以上
- BELS取得
- 長期優良住宅
- IHクッキングヒーター
- 人造大理石システムキッチン(天板)
- 対面式キッチン
- 食器洗浄乾燥機
- 床下収納
- シャワー蛇口
- 浄水器蛇口
- システムバス
- ユニットバス
- 浴室換気乾燥機
- 給湯器
- エコキュート
- ハンドシャワー付き洗面化粧台
- 温水洗浄便座1階
- ベタ基礎
- 低ホルムアルデヒド
- 在来工法
- 断熱仕様玄関ドア
- 全室LOW-Eペアガラス
- 樹脂アングル
- カウンターキッチン
- 可動棚
- 節水型トイレ
- 全室2面採光
Good!
GOOD DESIGN AWARD2024 東栄住宅は、この度2024年度グッドデザイン賞を3プロジェクト同時受賞いたしました。
木造住宅用制震ダンパー / 東栄セーフティダンパー 地盤改良工法 / R-Evolve パイル 宅地開発手法 / 簡単に地図から消せる道- 3区画販売中/全3区画
- 完成前
- 販売価格
- 3,390万円 ~ 3,490万円 (税込)
- 所在地
- 愛知県知多市八幡字荒古後77番1付近(地番)
- アクセス
- 名鉄常滑線 寺本駅まで徒歩6分
- 土地面積
- 162.19~173.81㎡
- 建物面積
- 110.54~113.67㎡
- 間取り
- 4LDK
- カースペース
- 3 ~ 4台
次回更新予定日:2026年1月22日
取引有効期限:2026年1月19日
- カースペース3台以上
- 24時間換気
- フローリング
- テレビモニタ付インターホン
- ワイドバルコニー
- インナーバルコニー
- 4LDK
- 吹抜
- 外水栓
- 耐震等級3
- LED照明(玄関・廊下・キッチン・トイレ・洗面所)
- フラット35
- 幼稚園10分以内
- 保育園10分以内
- 火災報知器
- 駅徒歩10分以内
- Wロック電池錠
- 制震ダンパー
- 生活施設10分以内
- 接道6m以上
- BELS取得
- 人造大理石システムキッチン(天板)
- 対面式キッチン
- 食器洗浄乾燥機
- 床下収納
- シャワー蛇口
- 浄水器蛇口
- システムバス
- ユニットバス
- 浴室換気乾燥機
- 給湯器
- ハンドシャワー付き洗面化粧台
- 温水洗浄便座1階
- 温水洗浄便座2階
- ベタ基礎
- 低ホルムアルデヒド
- 在来工法
- 断熱仕様玄関ドア
- 全室LOW-Eペアガラス
- 樹脂アングル
- 手すり付階段
- エコジョーズ
- カウンターキッチン
- 節水型トイレ
- 南面バルコニー
Good!
1号棟:天気や時間を選ばず洗濯物を干せる広々したインナーバルコニー☆土間収納・キッチン横パントリー・可動棚4段の豊富な収納でスッキリ快適な生活★ 2号棟:LDKには優しい光を取込み開放感のある吹抜を採用☆彡来客対応やお子様の遊び場、昼寝スペースなどに使える便利な和室♪ 3号棟::天候や季節に左右されず、子どもやペットが安全にのびのび過ごせる空間のマルチエントランス♪お子さまの勉強や家事スペースなどに活用可能なカウンターを採用☆彡 スマートフォンで見やすい特設サイトはこちら https://www.e-blooming.com/bukken/83175026/
- 3区画販売中/全3区画
- バーチャル内覧可
- 完成前
- 販売価格
- 3,490万円 ~ 3,550万円 (税込)
- 所在地
- 千葉県袖ケ浦市蔵波台1丁目11番5(地番)
- アクセス
- 内房線 長浦駅まで徒歩17分
- 土地面積
- 159.26~159.41㎡
- 建物面積
- 103.65~110.28㎡
- 間取り
- 3LDK~4LDK
- カースペース
- 2台
次回更新予定日:2026年1月24日
取引有効期限:2026年1月19日
- 24時間換気
- カースペース2台以上
- 土地40坪以上
- 並列駐車
- ウォークインクロゼット
- フローリング
- テレビモニタ付インターホン
- LDK18帖以上
- 吹抜
- 低層地域
- 外水栓
- 耐震等級3
- LED照明(玄関・廊下・キッチン・トイレ・洗面所)
- 土間収納
- フラット35
- ポップアップ天井
- 保育園10分以内
- 火災報知器
- Wロック電池錠
- 制震ダンパー
- 生活施設10分以内
- 公共施設10分以内
- 公園10分以内
- 接道6m以上
- BELS取得
- ポスト一体型宅配ボックス
- 人造大理石システムキッチン(天板)
- 対面式キッチン
- 食器洗浄乾燥機
- 床下収納
- シャワー蛇口
- 浄水器蛇口
- システムバス
- ユニットバス
- 浴室換気乾燥機
- 給湯器
- ハンドシャワー付き洗面化粧台
- 温水洗浄便座1階
- 温水洗浄便座2階
- ベタ基礎
- 低ホルムアルデヒド
- 在来工法
- 断熱仕様玄関ドア
- 全室LOW-Eペアガラス
- 樹脂アングル
- 手すり付階段
- エコジョーズ
- カウンターキッチン
- 可動棚
- 勝手口
- 節水型トイレ
- 南面バルコニー
- 全室フローリング
Good!
ブルーミングガーデン 生駒市萩の台3棟
分譲住宅- 3区画販売中/全3区画
- 完成前
- 販売価格
- 3,890万円 ~ 4,290万円 (税込)
- 所在地
- 奈良県生駒市萩の台778番9他(地番)
- アクセス
- 近鉄生駒線 萩の台駅まで徒歩5分
- 土地面積
- 144.34~256.88㎡
- 建物面積
- 107.37~116.22㎡
- 間取り
- 3LDK~4LDK
- カースペース
- 2台
次回更新予定日:2026年1月31日
取引有効期限:2026年1月19日
- 24時間換気
- カースペース2台以上
- 土地40坪以上
- ウォークインクロゼット
- フローリング
- テレビモニタ付インターホン
- LDK18帖以上
- 折上天井
- 吹抜
- 外水栓
- 耐震等級3
- LED照明(玄関・廊下・キッチン・トイレ・洗面所)
- ポップアップ天井
- 火災報知器
- 駅徒歩10分以内
- Wロック電池錠
- 室内物干
- 制震ダンパー
- アクセントクロス(一部)
- 生活施設10分以内
- 公共施設10分以内
- 接道6m以上
- BELS取得
- IHクッキングヒーター
- 人造大理石システムキッチン(天板)
- 対面式キッチン
- 食器洗浄乾燥機
- 床下収納
- シャワー蛇口
- 浄水器蛇口
- システムバス
- ユニットバス
- 浴室換気乾燥機
- エコキュート
- ハンドシャワー付き洗面化粧台
- 温水洗浄便座1階
- 温水洗浄便座2階
- ベタ基礎
- 低ホルムアルデヒド
- 在来工法
- 断熱仕様玄関ドア
- 全室LOW-Eペアガラス
- 樹脂アングル
- 手すり付階段
- カウンターキッチン
- 可動棚
- 勝手口
- 節水型トイレ
- 南面バルコニー
Good!
ブルーミングガーデン 栗東市綣7丁目3棟
分譲住宅- 3区画販売中/全3区画
- バーチャル内覧可
- 完成前
- 販売価格
- 4,998万円 ~ 5,790万円 (税込)
- 所在地
- 滋賀県栗東市綣7丁目965番2、3、4、5、6、7(地番)
- アクセス
- 東海道本線 栗東駅まで徒歩3分
- 土地面積
- 139.04~169.31㎡
- 建物面積
- 99.36~103.92㎡
- 間取り
- 3LDK
- カースペース
- 2 ~ 3台
次回更新予定日:2026年1月27日
取引有効期限:2026年1月19日
- 24時間換気
- 全居室クロゼット付
- フローリング
- テレビモニタ付インターホン
- 3LDK
- LDK18帖以上
- 折上天井
- パントリー
- 外水栓
- 主寝室8帖以上
- 耐震等級3
- LED照明(玄関・廊下・キッチン・トイレ・洗面所)
- 小学校10分以内
- 幼稚園10分以内
- ポップアップ天井
- 保育園10分以内
- 火災報知器
- 駅徒歩10分以内
- Wロック電池錠
- 室内物干
- 制震ダンパー
- アクセントクロス(一部)
- 生活施設10分以内
- 宅配ボックス
- BELS取得
- 人造大理石システムキッチン(天板)
- 対面式キッチン
- 食器洗浄乾燥機
- 床下収納
- シャワー蛇口
- 浄水器蛇口
- システムバス
- ユニットバス
- 浴室換気乾燥機
- 給湯器
- ハンドシャワー付き洗面化粧台
- 温水洗浄便座1階
- 温水洗浄便座2階
- ベタ基礎
- 低ホルムアルデヒド
- 在来工法
- 断熱仕様玄関ドア
- 全室LOW-Eペアガラス
- 樹脂アングル
- 手すり付階段
- エコジョーズ
- タッチレス水栓
- 可動棚
- 節水型トイレ
- 南面バルコニー
- 全室フローリング
Good!
2026年4月上旬完成予定! 〇栗東駅まで徒歩3分の駅近物件! 〇近くにショッピングモールが併設されているため、 帰宅前の買い物も楽々! 〇アクセス JR東海道本線「栗東」駅まで徒歩3分 〇ロケーション ・栗東市立大宝小学校まで徒歩4分 ・栗東市立栗東西中学校まで徒歩13分 ・保育園TAMランド栗東駅前まで徒歩6分 ・大宝幼稚園まで徒歩7分 ・アル・プラザ栗東まで徒歩4分 〇この物件のおすすめ ①号棟 ・食料品や日用品の備蓄が行える大容量パントリー付き ・LDK20帖の広々としたLDK! ・タッチレス水栓、食洗器付きのペニンシュラキッチン ・2階洋室すべて南西向きで日当たり良好! ・バルコニー2か所で洗濯物をたくさん干すことができます! ②号棟 ・生活動線がスムーズで料理が捗るパントリー採用! ・洗面所、リビング、1.2階廊下に収納スペース付き! ・急な雨の日でも安心なインナーバルコニー ・ライフスタイルに合わせて間取り変更が可能なフレキシブルルーム!(※別途工事費要) ③号棟 ・リビングに作業スペースや飾り棚として使えるカウンター設置! ・風通しがよくにおいがこもりにく勝手口付きキッチン ・たっぷり収納が行えるウォークインクローゼット ・収納力とデザイン性に優れたワイド洗面台! お気軽にご連絡ください!
(株)東栄住宅 京都営業所 TEL:075-394-5350 定休日:火・水・年末年始など スマートフォンで見やすい特設サイトはこちら https://www.e-blooming.com/bukken/84975019/- 2区画販売中/全2区画
- 長期優良住宅
- 完成前
- 販売価格
- 2,980万円 ~ 3,180万円 (税込)
- 所在地
- 神奈川県小田原市小竹字豆ケ谷津681番65(地番)
- アクセス
- 湘南新宿ライン高海,東海道本線 二宮駅までバス12分 橘団地バス停まで徒歩4分
- 土地面積
- 140.70~154.24㎡
- 建物面積
- 100.19~101.03㎡
- 間取り
- 4LDK
- カースペース
- 3台
次回更新予定日:2026年1月21日
取引有効期限:2026年1月19日
- カースペース3台以上
- 24時間換気
- 土地40坪以上
- 南道路
- 並列駐車
- フローリング
- テレビモニタ付インターホン
- ワイドバルコニー
- 4LDK
- 折上天井
- 吹抜
- 低層地域
- 外水栓
- 耐震等級3
- LED照明(玄関・廊下・キッチン・トイレ・洗面所)
- 玄関吹抜
- ポップアップ天井
- 火災報知器
- Wロック電池錠
- バス停5分以内
- 制震ダンパー
- アクセントクロス(一部)
- 生活施設10分以内
- 公園10分以内
- BELS取得
- 複数路線利用可
- 長期優良住宅
- 電気自動車用EVコンセント
- 人造大理石システムキッチン(天板)
- 対面式キッチン
- 食器洗浄乾燥機
- 床下収納
- シャワー蛇口
- 浄水器蛇口
- ユニットバス
- 浴室換気乾燥機
- 給湯器
- ハンドシャワー付き洗面化粧台
- 温水洗浄便座1階
- 温水洗浄便座2階
- ベタ基礎
- 低ホルムアルデヒド
- 在来工法
- 断熱仕様玄関ドア
- 全室LOW-Eペアガラス
- 樹脂アングル
- 手すり付階段
- エコジョーズ
- フルオープンキッチン
- カウンターキッチン
- 可動棚
- 節水型トイレ
- 南面バルコニー
Good!
幼稚園:二宮育美幼稚園(徒歩18分)
お気軽にお問い合わせ下さい! 東栄住宅 茅ヶ崎営業所 Tell : 0120-67-1081
- 2区画販売中/全2区画
- 長期優良住宅
- バーチャル内覧可
- 完成前
- 販売価格
- 3,299万円 ~ 3,899万円 (税込)
- 所在地
- 沖縄県うるま市与那城照間松原1790番1(地番)、沖縄県うるま市与那城照間1790 西側(住居表示)
- アクセス
- 沖縄都市モノレール てだこ浦西駅までバス75分 南風原入口バス停まで徒歩12分
沖縄都市モノレール 古島駅までバス121分 南風原入口バス停まで徒歩12分
- 土地面積
- 246.78~276.38㎡
- 建物面積
- 100.76~111.78㎡
- 間取り
- 3LDK
- カースペース
- 3台
次回更新予定日:2026年2月2日
取引有効期限:2026年1月19日
- カースペース3台以上
- 24時間換気
- 土地50坪以上
- 並列駐車
- ウォークインクロゼット
- フローリング
- テレビモニタ付インターホン
- 3LDK
- LDK18帖以上
- 折上天井
- 勾配天井
- 外水栓
- 耐震等級3
- LED照明(玄関・廊下・キッチン・トイレ・洗面所)
- ポップアップ天井
- 保育園10分以内
- 火災報知器
- Wロック電池錠
- アクセントクロス(一部)
- BELS取得
- 長期優良住宅
- ポスト一体型宅配ボックス
- 人造大理石システムキッチン(天板)
- 対面式キッチン
- 食器洗浄乾燥機
- 床下収納
- シャワー蛇口
- 浄水器蛇口
- システムバス
- ユニットバス
- 浴室換気乾燥機
- 給湯器
- ハンドシャワー付き洗面化粧台
- 温水洗浄便座1階
- ベタ基礎
- 低ホルムアルデヒド
- 在来工法
- 断熱仕様玄関ドア
- 樹脂アングル
- 防犯ガラス
- 手すり付階段
- エコジョーズ
- カウンターキッチン
- 可動棚
- 節水型トイレ
- 全室フローリング
Good!
現在の検索条件
- テーマ
- 収納豊富なキッチンパントリーがある家
- こだわり条件
こだわりの新築一戸建てのマイホームを買うなら、新築一戸建ての分譲住宅や条件付売地・売地など物件検索のできる【東栄住宅のブルーミングガーデン】専門サイトをご利用ください。価格帯、間取り、駐車場の有無や立地などからあなたの希望にぴったり合う物件が見つかります。
チェックした物件を
テーマから検索する
こだわり条件を追加
- 種別
-
- 価格帯
-
-
- ~
-
-
- 最寄り駅までの時間
-
-
- 土地面積
-
-
- ~
-
-
- 建物面積
-
-
- ~
-
-






















