・東武スカイツリーライン「新田」駅徒歩20~21分・「独協大学前」駅徒歩24~25分! ・敷地面積36坪以上!カースペース2~3台! ・太陽光発電搭載! ・広々としたLDKや可変型洋室など多彩な間取り! ・住宅性能評価『設計』『建設』ダブルで取得! ・国の厳しい基準をクリアした 『BELS認定』!
Overview
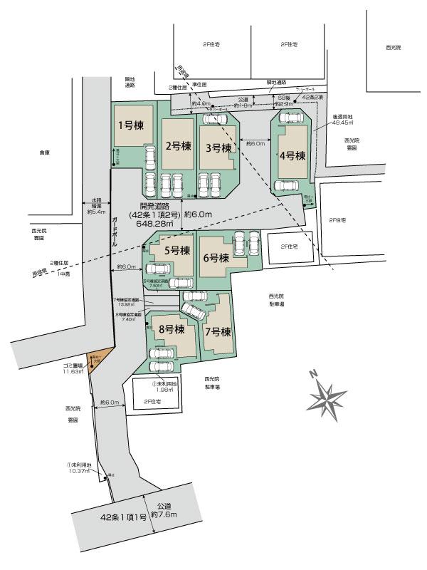
区画図
多彩な空間を実現!ニーズに合わせた『4~5LDK可変型』プラン採用!(号棟による)
ニッチ、アイランド風キッチン、食洗機など設備も充実したリビングとキッチン! 収納は全居室にあり、目的別に『ランドリー収納』『リビング収納』『床下収納×2』などがあります!(号棟による) 勉強や仕事用に便利なテレワークスペースも完備(号棟による)
Properties
間取図
1号棟
4LDK
土地面積 130.14m² ・建物面積 105.57m² ・駐車場3台
季節ものなど収納がたっぷり出来るウォークインクローゼットのある物件!
・リビング全体が見渡せる『対面キッチン&ポップアップ天井』 ・掃除機や小物類など収納が出来る『リビング収納』 ・収納がたっぷり出来る『ウォークインインクローゼット』 ・勉強や仕事用に便利な『テレワークルーム』 ・雨の日でも安心『室内物干』 ・掃除に便利な『バルコニー水栓』 ・梅雨時や花粉の時期のお洗濯も安心『浴室乾燥暖房機』
2号棟
4LDK
土地面積 130.09m² ・建物面積 112.82m² ・駐車場2台
広々とした季節ものなど収納がたっぷり出来るウォークインクローゼットのある物件!
・リビング全体が見渡せる『対面キッチン&ポップアップ天井』 ・掃除機や小物類など収納が出来る『リビング収納』 ・収納がたっぷり出来る『ウォークインインクローゼット』 ・勉強や仕事用に便利な『テレワークルーム』 ・雨の日でも安心『室内物干』 ・掃除に便利な『バルコニー水栓』 ・梅雨時や花粉の時期のお洗濯も安心『浴室乾燥暖房機』
3号棟
4LDK
土地面積 130.11m² ・建物面積 114.06m² ・駐車場3台
勉強用や仕事用に便利なテレワークルームがある物件!
・リビング全体が見渡せる『対面キッチン&ポップアップ天井』 ・掃除機や小物類など収納が出来る『リビング収納』 ・収納がたっぷり出来る『ウォークインインクローゼット』 ・雨の日でも安心『室内物干』 ・掃除に便利な『バルコニー水栓』 ・梅雨時や花粉の時期のお洗濯も安心『浴室乾燥暖房機』
4号棟
4LDK
土地面積 131.80m² ・建物面積 111.01m² ・駐車場2台
勉強用や仕事用に便利なテレワークルームがある物件!
・リビング全体が見渡せる『対面キッチン&ポップアップ天井』 ・勉強や仕事等に活用出来る『テレワークルーム』 ・雨の日でも安心『室内物干』 ・掃除に便利な『バルコニー水栓』 ・梅雨時や花粉の時期のお洗濯も安心『浴室乾燥暖房機』
5号棟
3LDK
土地面積 121.54m² ・建物面積 109.36m² ・駐車場2台
急な悪天候にも柔軟に対応できる快適スペースインナーバルコニーがある物件!
・リビング全体が見渡せる『対面キッチン&ポップアップ天井』 ・掃除機や小物類など収納が出来る『リビング収納』 ・雨の日でも安心『室内物干』 ・掃除に便利な『バルコニー水栓』 ・梅雨時や花粉の時期のお洗濯も安心『浴室乾燥暖房機』
6号棟
3LDK
土地面積 123.70m² ・建物面積 108.47m² ・駐車場2台
洗練されたデザインと清潔感のある洗面台がある物件!
・リビング全体が見渡せる『対面キッチン&ポップアップ天井』 ・掃除機や小物類など収納が出来る『リビング収納』 ・雨の日でも安心『室内物干』 ・掃除に便利な『バルコニー水栓』 ・梅雨時や花粉の時期のお洗濯も安心『浴室乾燥暖房機』
7号棟
3LDK
土地面積 121.06m² ・建物面積 98.12m² ・駐車場2台
調理器具や備蓄品など保管に便利なパントリーがある物件!
・リビング全体が見渡せる『対面キッチン&ポップアップ天井』 ・掃除機や小物類など収納が出来る『リビング収納』 ・雨の日でも安心『室内物干』 ・掃除に便利な『バルコニー水栓』 ・梅雨時や花粉の時期のお洗濯も安心『浴室乾燥暖房機』
8号棟
3LDK
土地面積 122.92m² ・建物面積 107.23m² ・駐車場2台
季節ものなど収納がたっぷり出来るウォークインクローゼットがある物件
・リビング全体が見渡せる『対面キッチン&ポップアップ天井』 ・掃除機や小物類など収納が出来る『リビング収納』 ・収納がたっぷり出来る『ウォークインインクローゼット』 ・雨の日でも安心『室内物干』 ・掃除に便利な『バルコニー水栓』 ・梅雨時や花粉の時期のお洗濯も安心『浴室乾燥暖房機』
Gallery
ギャラリー
Facilities
設備・特徴
設備・特徴 一覧
※仕様は号棟毎に異なる場合があります。
キッチン
タイプW(食器洗い乾燥機付・横型レンジフード)
無理のない姿勢でラクラク収納&取り出し。 使いやすさを優先したスライド収納タイプ。
仕様
| メーカー | ファーストプラス |
|---|---|
| タイプ | タイプW(食器洗い乾燥機付・横型レンジフード) |
| ※ 色柄等、異なる場合がございますので詳細は担当にご確認ください。 | |
その他仕様
- シンク
ステンレスシンク傷や汚れがつきにくい全面エンボス加工シンク。 静音仕様
- 水栓
蛇口一体型浄水器蛇口の先端に浄水器を内蔵。場所をとらない画期的な浄水器です。また、浄水器ごとホースを引き出せます。 カートリッジ交換も簡単。
- 横型レンジフード
LED仕様 カラー:メタリックシルバー
- ガスレンジ
ホーロートップ 水無し片面グリル付 三口センサー フェイス:シルバー
収納プラン
スローインクローズレール
引出しが閉まる直前にスピードをゆるめ、ゆっくりと閉まるレールです。
※加熱機器横15㎝のスパイスボックスは除く。
クイックスペース
フライ返しやレードルなど、調理作業に使う道具を収納。
包丁収納(スライド収納内)
収納スペースを最小限に抑えたホルダー型を採用。簡単脱着、分解清掃ができます。
タオルハンガー
扉のライン取手部分に押し込める専用のハンガーです。
※横にはスライドしません。
食器洗い乾燥機
浅型タイプ(約5人分)
Access
アクセス
~国道バイパス道路まで車で約1分~
東武スカイツリーライン
「新田駅」
徒歩20~21分
東武スカイツリーライン
「獨協大学前駅」
徒歩24~25分
Location
ロケーション
清門小学校
徒歩19分(1500m)
~生活圏内環境充実~
スーパーやクリニック、コンビニ、公園など徒歩15分圏内です。
新栄中学校
徒歩24分(1900m)
清門幼稚園
徒歩12分(900m)
しんぜん保育園
徒歩8分(600m)
マルヤ新栄店
徒歩15分(1200m)
ベルクス
徒歩18分(1400m)
平田クリニック
徒歩15分(1200m)
草加市立病院
徒歩22分(1700m)
Information
物件詳細
物件概要
基本情報
| 総区画数 |
8区画 - 分譲住宅:8戸
|
販売価格 |
分譲住宅 3,890万円~4,990万円(税込)
|
|
|---|---|---|---|---|
| 販売区画数 |
8区画 - 分譲住宅:8戸 |
建物面積 | 98.12m²~114.06m² |
物件概要
| 所在地(地番) | 埼玉県 草加市新善町字甚蔵159番1(地番) | 都市計画 | 市街化区域 | |
|---|---|---|---|---|
| 用途地域 | 第二種住居地域・第一種中高層住居専用地域 | 接道 | 南側7.6m公道、北側2.9m公道、西側6.0m公道 | |
| 建蔽率 | 60% | 容積率 | 200% | |
| 地目 | 宅地 | |||
分譲住宅
| 土地面積 | 121.06m²~131.80m² | 建物面積 | 98.12m²~114.06m² | |
|---|---|---|---|---|
| 間取り | 3LDK ~ 4LDK | 構造 | 木造2階建(在来工法) | |
| 建築確認番号 | 第25UDI1W建11274号 他 | カースペース | 2 ~ 3台 | |
| 交通 |
東武伊勢崎・大師線 新田駅まで徒歩20分~21分 東武伊勢崎・大師線 獨協大学前駅まで徒歩24分~25分 |
設備 | 公営水道、東京電力、都市ガス、本下水 | |
| 入居予定日 | 2026年5月下旬 | 完成予定日 | 2026年4月下旬 | |
| その他 | 【協定道路】敷地面積に含む 5号棟7.53m2、7号棟13.92m2、8号棟7.40m2 【その他諸費用】5、7、8号棟 地役権登記費用4万円(税込)がかかります。 【備考】太陽光発電システムについてはリース契約になります。リース契約期間は10年間、毎月利用料金1~8号棟月々9, 053円(税込)がかかります。期間終了後は無償譲渡されます。※詳細は営業担当にお問い合わせください。 ※本物件は建物建築にあたり、草加市開発事業等の手続及び基準等に関する条例、小規模開発の制限があります。 ※北側約30m先に外環自動車道・東側約40mに国道4号線・北東側約20m先に西光院があります。 ※本件の周囲は西光院が管理する、霊園及び駐車場となっております。 ※水害履歴:本物件は冠水履歴ありませんが、近隣では、冠水履歴があります。 又、今後の気象状況により何らかの被害が出る可能性あります。 ※1号棟北側の古いアスファルト敷き部分は民地の為、通行侵入不可。 |
更新日:2026年02月11日 更新予定日:2026年02月25日 |
||
建物 - 外観・内観
物件ギャラリーCommitment
東栄住宅のこだわり
movie
ブルーミングガーデン 草加市新善町8棟をご覧の方へおすすめの物件
近隣の物件
草加市氷川町3棟
東武伊勢崎・大師線「草加」駅
徒歩8分
埼玉県草加市氷川町2173-21(地番)、埼玉県草加市氷川町2173-21(住居表示)
近くに完成物件あります! 平日・休日、時間帯問わずご案内可能です! まずはお気軽にお問い合わせください! 東武伊勢崎線「草加」駅徒歩8分・「獨協大学」駅徒歩19分! 西町小学校徒歩14分・草加中学校徒歩4分! ●敷地面積は、43坪!駐車スペースは『並列2台』! ●開放感のある『アイランド風オープンキッチン』! ●勉強や仕事用に便利な『テレワークカウンター』! ●2階の主寝室は、仕切れる『主寝室可変型』タイプです!(号棟による) ●収納がたっぷり出来る『ウォークインクローゼット』! ●お客様の声から採用された『バルコニー水栓』!
近隣の物件
草加市八幡町5期
東武伊勢崎・大師線「新田」駅
徒歩18分
埼玉県草加市八幡町字戸ヶ袋986番9
平日・休日、時間帯問わずご案内可能です! まずはお気軽にお問い合わせください! 東武伊勢崎線「新田」駅徒歩18分! 八幡北小学校徒歩5分・青柳中学校徒歩10分! ●敷地面積は、21坪!駐車スペースは『1台』! ●開放感のある『アイランド風オープンキッチン』! ●キッチンがスッキリ片付く『可動棚付きパントリー収納』! ●2階の主寝室は、仕切れる『主寝室可変型』タイプです! ●季節ものの収納に便利な『ロフト』付! ●お客様の声から採用された『バルコニー水栓』!
近隣の物件
川口市安行領家5棟
埼玉高速鉄道「戸塚安行」駅
徒歩26分
埼玉県川口市大字安行領家字前14番1
緑豊かな高台の住宅地にこだわりの5邸誕生!
